Hi there. I am looking to rent a warehouse for a new business and I'm having a hard time getting a definitive answer about whether a tractor trailer would be able to deliver here. Any help would be appreciated!
I'm told that the majority of deliveries will be from a 60 foot truck. However, I read that the standard tractor trailer is 72" feet, so perhaps even longer.
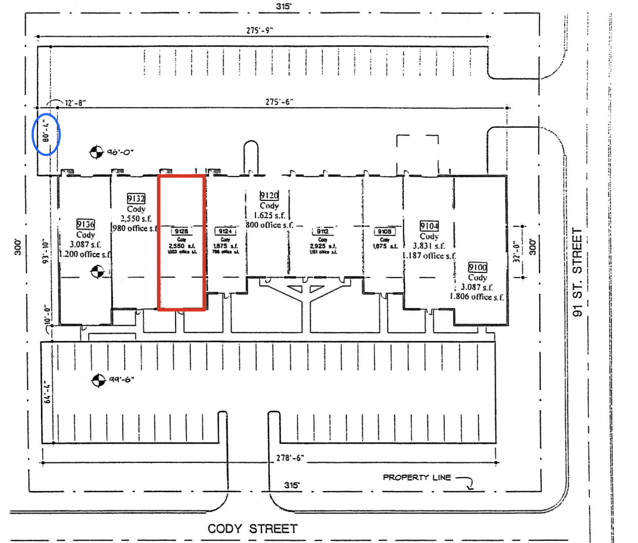
The diagram of the building is attached, showing the unit in red. The width of this parking area is about 80 feet. There is one entrance/exit (on the right side). This unit has a loading dock, which I'm told will be important for the types of deliveries I get. So it's important that a truck would actually be able to back the trailer up to the dock.
Can anyone offer perspective based on this?
Renting a warehouse. Could you deliver here?
Discussion in 'Experienced Truckers' Advice' started by kimmyaf, Oct 30, 2025.
Page 1 of 3
-
Attached Files:
-
-
Trucking Jobs in 30 seconds
Every month 400 people find a job with the help of TruckersReport.
-
I'm told that the majority of deliveries will be from a 60 foot truck.??????
Who told you that and what are they basing it on???
Pete -
The franchise home office for the franchise business I am opening said that the warehouse must be accessible for a 60' truck. Other franchise owners I've spoken to said all of their deliveries come by large semi.
-
Looks pretty tight. I’m guessing it’s here:
Google Maps
If your neighbors aren’t cooperative or if you get brokered freight you are probably going to get clueless drivers who will not be able to get an OTR semi with standard 53’ trailer in that dock.
60’ combination, in my mind, sounds like a day cab with a 53’ or shorter trailer (LTL carriers) and those guys can probably make it happen.
If anyone parks in those back spaces towards your end or leaves their own trucks/equipment there then you are screwed.hotrod1653, austinmike, Suspect Zero and 3 others Thank this. -
How many big truck deliveries a week do you plan on getting?
A pallet puller and two 30 foot chains are adequate to unload most trucks if no dock is available.
https://www.homedepot.com/pep/Vesti...ExCNikroXUDhdRPYOKfxU_CBP4LHeWRwaAozfEALw_wcBTripleSix Thanks this. -
Getting in, no problem as long as there are no vehicles parked in that area to the left of your dock. Getting out with a 72' T/T will be tough as it appears the dock is next to the raised drive to the right. There looks to be auto parking also just to the right of your dock which would make it hard for the truck to pull out by turning right. No problems for a local P/D driver.
86scotty Thanks this. -
So when you planning to open this spot? From the sound of it, you got a dock and 80 feet to play with, but if that entrance’s tight and there ain’t room to swing, backing a 72-footer might turn into a rodeo.
Best bet? Get a rig out there and test it. Diagrams don’t show curbs, blind spots, or angry neighbors.austinmike and 86scotty Thank this. -
In a perfect world, it would be difficult at best. Do yourself (and any truck driver delivering to you) a favor and keep looking. I bet you can find a place with much better truck access.
RockinChair, Lonesome, Suspect Zero and 1 other person Thank this. -
For true big rigs (53-ft trailer, coupled to a modern "sleeper" cab) -- go behind the typical Home Depot, Lowe's....or Walmart Supercenter....& look at the paved area in front of the docks.
That's how much room you truly need -- to keep accidents from happening.
Note also -- that those stores have dock entries/exits THAT ARE SEPARATE from regular 4-wheeler parking.
The typical docking space at a Dollar General, or Family Dollar store....will NOT be truly sufficient.
-- Lgentleroger and Lonesome Thank this. -
So no, it isn't good.
1 - The truck will have to back in.
2 - The truck can not dock; there are none.
3 - There is limited space to unload when there is high traffic within the parking lot.
4 - Shared space sometimes sucks because of 3.
You will need a forklift and someone who knows how to use it without destroying the trailer.austinmike, tscottme and Lonesome Thank this.
Trucking Jobs in 30 seconds
Every month 400 people find a job with the help of TruckersReport.
Page 1 of 3
